Niniejszy serwis internetowy stosuje pliki cookies (tzw. ciasteczka). Informacja na temat celu ich przechowywania i sposobu zarządzania znajduje się w Polityce prywatności. Jeżeli nie wyrażasz zgody na zapisywanie informacji zawartych w plikach cookies - zmień ustawienia swojej przeglądarki.
Przejdź do treści głównej
Wróć na początek strony
Przejdź do wyszukiwarki
Przejdź do mapy serwisu

Kadencja 2014-2018/ Rok 2015

Biuletyn Informacji Publicznej GMINA LIPNO
Poleć stronę

Pola oznaczone są wymagane.

Zapraszam do obejrzenia strony „Uchwała Nr XII/91/2015 Rady Gminy Lipno z dnia 24 września 2015 roku w sprawie wyrażenia zgody na zawarcie kolejnej umowy dzierżawy nieruchomości - Kadencja 2014-2018/ Rok 2015 - Uchwały Rady Gminy Lipno - Sesje Rady Gminy Lipno IV - VII kadencji - RADA GMINY LIPNO - BIP - GMINA LIPNO”

Zabezpieczenie przed robotami.
Przepisz co drugi znak, zaczynając od pierwszego.

P ) # @ % R F 3 - 0 A w s f d A P # @ :

Treść zakładkiUchwała Nr XII/91/2015 Rady Gminy Lipno z dnia 24 września 2015 roku w sprawie wyrażenia zgody na zawarcie kolejnej umowy dzierżawy nieruchomości

UCHWAŁA NR XII/91/2015

Rady Gminy Lipno

z dnia 24 września 2015 r.

 

w sprawie wyrażenia zgody na zawarcie kolejnej umowy dzierżawy nieruchomości

 

Na podstawie art. 18 ust. 2 pkt 15 ustawy z dnia 8 marca 1990 r. o samorządzie gminnym (Dz. U. z 2013 r. poz. 594 ze zm.) oraz art. 23 ust. 1 pkt 7a w związku z art. 25 ust.  1 i 2  ustawy z dnia 21 sierpnia 1997 roku o gospodarce nieruchomościami ( Dz. U. z 2015 r., poz. 782 ze zm. ) Rada Gminy Lipno uchwala, co następuje:

§ 1

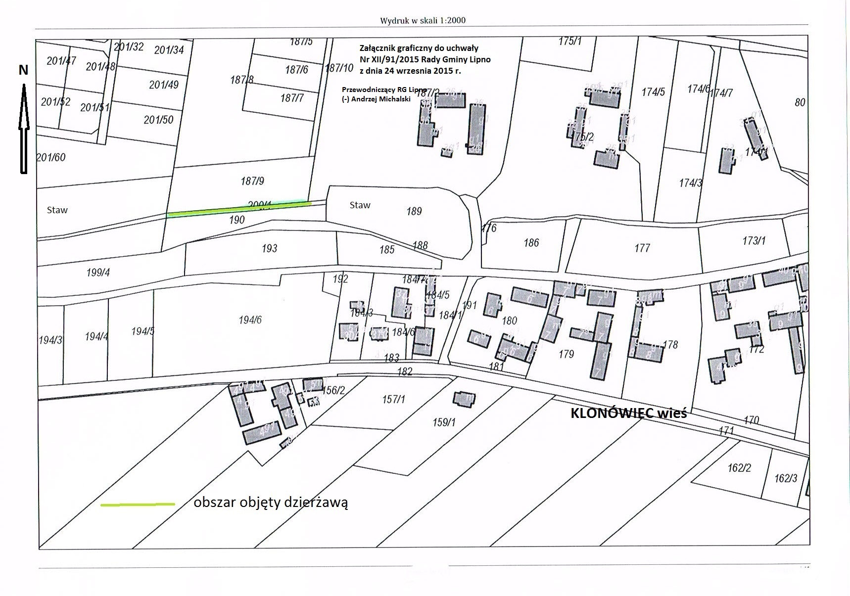
1. Wyraża zgodę na zawarcie kolejnej umowy dzierżawy z dotychczasowym dzierżawcą na okres 5 lat, której przedmiotem będzie części nieruchomości oznaczona nr ewidencyjnym 200/1, o powierzchni 200 m2,  położona  w miejscowości Klonówiec.

2. Przedmiot dzierżawy, o którym mowa w ust. 1, w sposób graficzny obrazuje załącznik do niniejszej uchwały.

 

§ 2

Wykonanie uchwały powierza się Wójtowi Gminy Lipno.

 

§ 3

Uchwała wchodzi w życie z dniem podjęcia.

 

Przewodniczący

Rady Gminy Lipno

 

          (-) Andrzej Michalski

 

 

 

 

 

 

 

Uzasadnienie

do Uchwały Nr XII/91/2015

Rady Gminy Lipno

z dnia 24 września 2015 r.

 

w sprawie wyrażenia zgody na zawarcie kolejnej umowy dzierżawy nieruchomości

 

 

            Umowa dzierżawy z dnia 23 lutego 2011 r., której przedmiotem jest część działki oznaczonej geodezyjnie nr 200/1, o powierzchni 200 m2, obręb Klonówiec, wygasa z dniem 30 wrzesnia 2015 r. W związku z powyższym dotychczasowy Dzierżawca zwrócił się o przedłużenie umowy. Przedmiotowa działka stanowi rów i graniczy z działką będącą własnością Dzierżawcy. Z uwagi na położenie przedmiotu dzierżawy na obszarach podmokłych oraz zadrzewionych i zakrzewionych trudno było Gminie zadbać o czyszczenie rowu. Oddanie działki w dzierżawę pozwoliło na doprowadzenie jej do porządku i utrzymanie tego stanu przez okres obowiązywanie umowy.

Umożliwienie dalszej dzierżawy pozwoli na kontynuowanie ww. prac przez Dzierżawcę co poprawi atrakcyjność terenu. Ponadto zwiększy się dochód gminy poprzez stały wpływ środków finansowych w postaci opłaty z tytułu czynszu dzierżawnego.

W obowiązującym stanie prawnym wynikającym z przepisów ustawy o gospodarce nieruchomościami w odniesieniu do nieruchomości wchodzących w skład zasobu gminnego zawarcie kolejnej umowy na czas dłuższy niż 3 lata wymaga zgody  Rady.

W związku z powyższym zasadnym jest podjęcie przedmiotowej  uchwały.

 

 

Przewodniczący

Rady Gminy Lipno

 

          (-) Andrzej Michalski

 

Załącznik - owtórz

 

 

sporządzono
2015-10-01 przez
udostępniono
2015-10-01 02:00 przez Marika Kokornaczyk-Wilczyńska
zmodyfikowano
2015-10-01 16:04 przez Marika Kokornaczyk-Wilczyńska
zmiany w dokumencie
ilość odwiedzin
190